Sint Maarten offers some really great boat diving along the South coast. With a combination of reefs and wrecks there is something for everyone. Fish life is varied and quite prolific and the shark, turtle and stingray population is generally abundant – especially the sharks in the Man of War Shoal Marine Park area. With an average depth of 55ft/17m, most of our dive sites are “suitable for entry level divers”; however these dive sites are all ¼ to ¾ nautical miles off the coast and as such are considered “open ocean” dive sites. In addition we have a training dive site along the protected peninsular of Little Bay
Dive sites are decided on the day as they are weather dependent, and the site chosen may change on the way out if another dive boat is already on that mooring. Based on your experience, the dive boat will take you to the best site for the day – after all the dive guides want to have a good dive too :) If you are diving multiple days with us we aim to provide a variety of Sint Maarten dive sites, or a variety of ways to dive around the same dive site.




The Man of War Shoal Marine Park was established in 2012 and is managed by the Nature Foundation of Sint Maarten. It is a No Fishing and No Anchoring zone with several dive site moorings offering a variety of dive sites withing the Park. In addition the Nature Foundation manages dive site moorings along the South West coast, which besides being great dive sites on their own, offer some surface protection on the windier days. On the calmest of days we head out to the dive sites on the East side of Sint Maarten.




(Max depth 55ft/16.7m)
Location: South West
This purpose sunk wreck (1993) turned over as it sank and now lies belly up surrounded by beautiful soft coral and barrel sponges. The mooring line is attached directly to the wreck. The wreck is crumbling and penetration is not advised. During the dive time is spent exploring around the wreck and the surrounding reef. Sometimes a drift dive is done from the wreck and along the Long Bay Reef.
Adopt the Blue site - Dive with a purpose: A great site to look for abandoned fishing gear – if you find some, let staff remove.
Common critters: Sergeant Majors & their eggs (purple circles), Trumpetfish, Barracuda, baby Blue Chromis, Bicolor Damselfish, Blennies, Lobster
Special guests: Balloonfish and webbed burrfish, Spotted Eagle Rays, Caribbean Reef Sharks, Green Moray Eel, Sea Turtles, Spotted Moray Eels, High Hat Drum Fish, Butter Hamlets


(Max depth 93ft/ 28.3m)
Location: South
Little is known about this tugboat. It sits upright on a sandy bottom, leaning a little to starboard. Check out the sponge growth and the wildlife around.
Adopt the Blue site - Dive with a purpose: Be on the lookout for marine debris– if you find some, let staff remove.
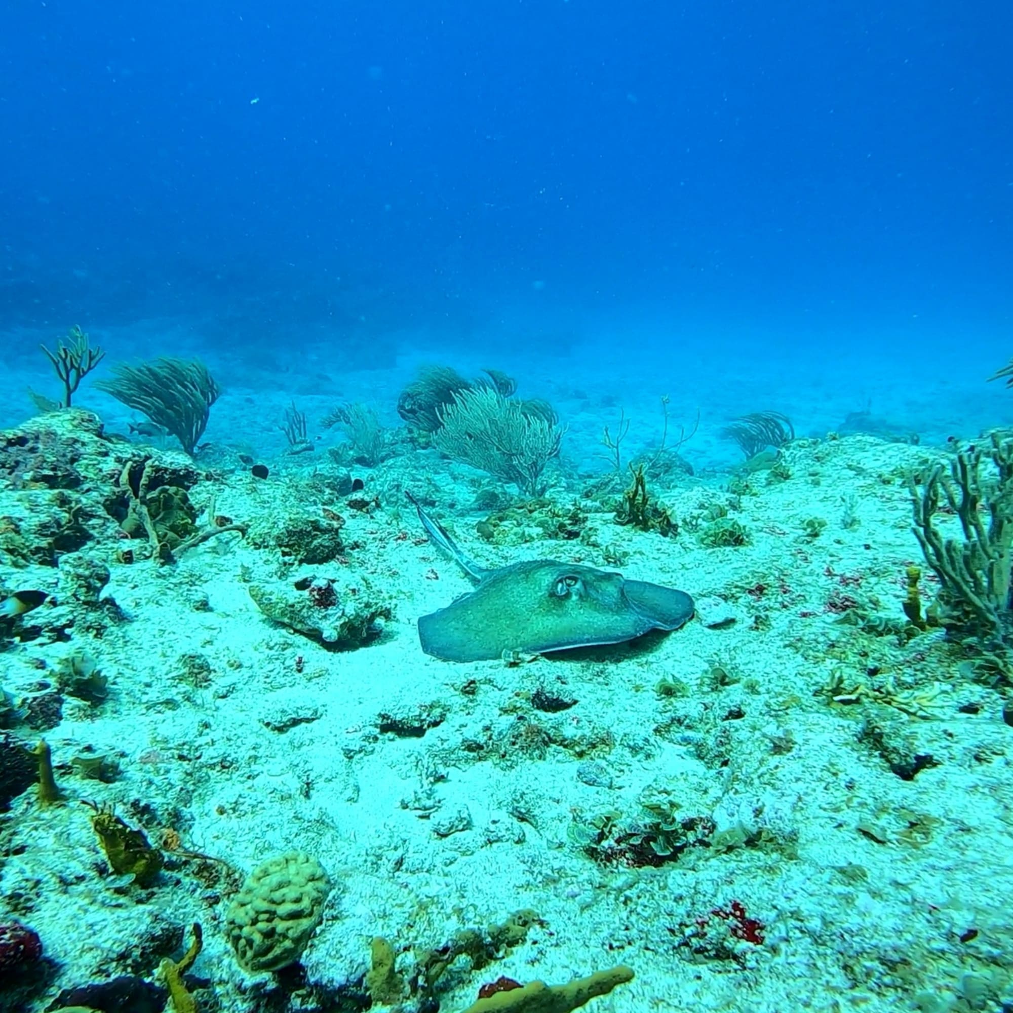
Common critters: Blackbar soldierfish, Spanish Hogfish, Bar Jack, Southern Stingray, Ocean Surgeonfish, Sergeant Major,
Special guests: Toadfish, Caribbean Reef Sharks
(Max depth 55 ft/16.7m)
Location: South
This dive site comprises a number of purpose sunk installations on a seagrass and sandy bottom. It installation attracts a different assortment of life and in between you have both seagrass and the sandy bottom to explore. As the area is quite large this dive site is usually explored over several dives.
Small Sailboat: The main mooring is attached to a small sailboat lying on it's side in the sand. It can be explored at the start or end of the dive depending on your dive guides briefing.
Jab Jab: This is the most recent installation, was a popular floating bar housed on the 85-foot steel sailing ship SV Nightingale. After sinking in the Simpson Bay Lagoon during Hurricane Irma it was subsequently salvaged and re-sunk at this dive site. In July 2024, it was snagged by a cargo ship anchor and dragged closer to the bridge wreckage.
The Bridge Wreckage: The story goes that a boat wanted to come into the lagoon, but the bridge and channel were too small. Rather than anchoring in Simpson Bay, the mega yacht Limitless helped fund a new bridge and deeper channel. Old bridge remains are now out here as an artificial reef to home local wildlife and for divers to enjoy. Thank you, Victoria’s Secret, owner of the yacht.
Adopt the Blue site - Dive with a purpose: Be on the lookout for marine debris– if you find some, let staff remove.
Common critters: Sergeant Majors (and their eggs – purple circles), Sand Tilefish, schools of Tomtate, anemone with sexy shrimp in the small sailboat’s bow
Special guests: Octopus, big Barracuda, friendly and curious Caribbean Reef Sharks, Nurse Sharks, Sea Turtles


(Max depth 27 ft/8.2m)
Location: South
A hard packed sandy bottom littered with rocky features. A shallow treasure hunt for our nursery fish friends. Take your time and look in all the crevices for baby and juvenile wildlife. Enjoy the sunrays dappling through the shallow waters.
Adopt the Blue site- Dive with a purpose: Watch out for marine debris – abandoned fishing gear, beverage bottles, and food wrappers
Common critters: Ocean Surgeonfish, Lionfish, schools of French Grunts, Bicolor Damselfish
Special guests: Baby Nurse Sharks, Spotted Moray Eels
(Max depth 65 ft/19.8m)
Location: Man of War Shoal Marine Park
Situated just within the Man of War Shaol Marine Park on a sandy bottom, this is one of our favourite dive sites. The following account comes from Steve P, one of the salvagers of the wreck. MV Carib, and interisland cargo "Ro Ro" ship, was damaged during Hurricane Luis (1995). The following year, while moored in Great Bay, and during Hurricane Bertha (1996) it disappeared out to sea. Later, fisherman noticed an oil slick, and a salvage team was dispatched. Carib had been found! It lays upright at 65 feet (19.8m) in sand surrounded by seagrass. Over time the wreck has started to crumble and penetration is not advised. To the East of the wreck reef balls, which are full of wildlife.
Adopt the Blue site - Dive with a purpose: Be on the lookout for marine debris– if you find some, let staff remove.
Common critters: Schools of tomtate, Bluestriped Grunt, and Blackbar Soldierfish. Find smooth trunkfish, lionfish, parrotfish
Special guests: Southern stingrays, Green Sea Turtles, Caribbean Reef Sharks, and Goliath Grouper


(Max depth 56ft/17m)
Location: Man of War Shoal Marine Park
Lucy owned the cargo ferry HVALP and planned to use it as an inter-island ferry, specifically to move containers around. The HVALP sunk in 1991 and subsequently became a dive site. Over the years, the wreck has been broken down by storms. The propeller is still visible, but mostly just the bones of the vessel can be seen.
Adopt the Blue site - Dive with a purpose: Be on the lookout for marine debris– if you find some, let staff remove.
Common critters: Yellowtail snappers, Green and Spotted Moray Eels, Porcupine Fish, Sharp nose puffer
Special guests: Green Sea Turtles, Spotted Eagle Ray, Caribbean Reef Shark, Octopus
(Max depth 56 ft/17m)
Location: Man of War Shoal Marine Park
Story of the wreck: This wooden ship started out as the Dutch 36-gun frigate Jason, built in 1770 at Rotterdam, the Netherlands. In 1796 her crew mutinied and turned her over to the British. Renamed as the H.M.S. Proselyte she was serving as a 32-gun British Royal Navy frigate at the time of her sinking in 1801.
While under the temporary command of Lieutenant Henry Whitby, the H.M.S. Proselyte was wrecked on 4 September 1801. She was on her way from St. Kitts into port at St. Maarten when she struck the "Man of War Shoal" in view of Philipsburg. Fortunately, boats from Philipsburg saved all the crew. A court martial found Whitby guilty of negligence for not heeding the warning about the danger of the reef; the court sentenced him to a reduction in rank. The board also dismissed the master, Luke Winter, from the Navy. Whitby had left him in charge of the navigation and ignored the local standing orders, which specified where the shoal was, and the bearings vessels were to follow when entering port.
Over 200 years later nothing is left of the wooden vessel, however the site is littered with coral encrusted cannons and metal barrel hoops and the massive ships anchors.
Besides the history this is a beautiful dive site allowing an amazing safety stop at the top of the shoal.
Adopt the Blue site - Dive with a purpose: Be on the Lookout for marine debris– if you find some, let staff remove.
Common critters: Many of the 60 TWA fish species! Barracuda, Porcupine fish, Ocean Surgeonfish, Parrotfish, Goatfish, Trumpetfish, and more.
Special guests: Baby Yellowtail damselfish and Red lip Blennies on top of the shoal, a couple of resident Caribbean Reef Sharks, Spotted Eagle Rays, Yellowhead Jawfish, Nurse Sharks, and sea slugs (near the mooring line).


(Max depth 75 ft/22.8m)
Location: Man of War Shoal Marine Park
In 1993, this freighter was purposefully sunk on a ledge, but in a subsequent storm slipped off and is now just wreckage on the bottom – 73 ft. Along the reef structures, you’ll find a cable lying across the sea floor. It’s a former fiber optic cable no longer in use. East of the reef there is a swim through or swim over depending on the conditions.
Adopt the Blue site - Dive with a purpose: Be on the Lookout for marine debris– if you find some, let staff remove.
Common critters: Schools of French Grunts, Bluestriped Grunts, and Yellow Goatfish, Lionfish, Parrotfish, and more
Special guests: Spotted & Green Moray Eels, Green & Hawksbill Turtles, Spotted Eagle Rays, Caribbean Reef Sharks
(Max depth 60 ft/18m)
Location: Man of War Shoal Marine Park
This dive site is so popular there are 2 mooring balls. Boasting healthy coral formations and numerous maze-like swim throughs, Mike’s has passageways that wind around coral heads, through arches, and over bridges. Your guide will assess the conditions before entering the passageways. If you do not feel comfortable, you may follow along above the channels. This location is where the Nature Foundation conducted its coral reef restoration project.
Adopt the Blue site - Dive with a purpose: Be on the Lookout for marine debris– if you find some, let staff remove.
Common critters: French & Gray Angelfish, schooling Chubs, Caribbean Spiny Lobster, Foureye Butterflyfish, Elkhorn Coral formations
Special guests: Spotted Eagle Rays, Squid, Caribbean Reef Sharks, Nurse Sharks, Sexy Shrimp in anemones, Staghorn coral formations


(Max depth 51 ft/15.5m)
Location: Man of War Shoal Marine Park
A staff favorite! Enjoy the sand bottom gullies and the corals that pepper them. The Nature Foundation used this site as part of their Coral Restoration project in 2020 where they successfully out planted several Acropora coral fragments, some of which were Hurricane Irma survivors.
After Hurricane Irma, the coral species ‘Staghorn’ almost totally disappeared from St. Maarten reefs due to the massive storm surge and the indirect impacts of the hurricane. Only two fragments were left in the nursery and 95% of the mother colonies on the reefs were wiped out. Fortunately, one viable staghorn fragment was saved, which now has turned into ten colonies out planted on our reefs with several fragments still growing in the nursery. The new Staghorn fragments are doing well, but the growth is slow. Staghorn is one of the fastest growing corals but still only grows about a cm/month.
Adopt the Blue site - Dive with a purpose: Be on the lookout for marine debris– if you find some, let staff remove.
Common critters: Fairy Basslets, schools of Chubs, Spiny Lobsters, Queen & French Angelfish, baby Yellowtail Damselfish, patches of Staghorn and Elkhorn Coral formations
Special guests: Caribbean Reef Sharks, Nurse Sharks, Sea Turtles
(Max Depth 61 ft/18.6m)
Location: Man of War Shoal Marine Park
Reefs flank sand channels. Swim up and down the channels searching for critters.
Caribbean reef sharks are a popular sight for divers in the waters off Sint Maarten, as they play a critical role in maintaining a healthy reef ecosystem. Their presence helps control other fish populations, which subsequently prevents overgrazing on seagrass beds and coral reefs.
To help protect these sharks from habitat degradation and overfishing, the Nature Foundation has been tagging and tracking individuals since 2016. Recent data analysis indicated that many of the tagged sharks spend significant amounts of time in the Man of War Shoal Marine Park. All types of fishing, including shark fishing, are banned in the MPA, which gives local marine populations a safe space to grow and live.
Adopt the Blue site - Dive with a purpose: Be on the lookout for marine debris– if you find some, let staff remove.
Common critters: Bar Jacks, Groupers, Ocean Surgeonfish, Foureye Butterfly
Special guests: Sea turtles, Caribbean Reef Sharks, Southern Stingrays, Spotted Moray Eels


(Max depth 55ft/16.7m)
Location: Man of War Shoal Marine Park
So named for its bowl-like shape and the wildlife found on and in it. Carefully navigate a short swim through, which is just as fun to go over to enjoy the champagne bubbles that leak through the rocks! The mooring is conveniently placed in the middle of the bowl so you are never far from the boat as you circle around the dive site.
Adopt the Blue site - Dive with a purpose: Be on the lookout for marine debris– if you find some, let staff remove.
Common critters: Barracuda, Filefish, Boxfish, Surgeonfish, Yellowhead Jawfish, Fairy Basslets
Special guests: Spotted Eagle Rays, Green Moray Eels
(Max depth 60ft/18 m)
Location: East
An uncommon dive site as its weather permitting. At the surface, the 3 rocks are reminiscent of a hen and 2 chicks. Underwater, there is a rocky ledge/drop off to the sandy bottom. The ledge is full of coral and other wildlife. One part of the site is a giant hole, which looks like a crater from a meteorite. Swim under the overhang into the shadows and let your bubbles float up the ledge. Be sure to watch the waves crash over the rocks before you explore the valley at the back that leads to a shallow reef on the East side.
Adopt the Blue site - Dive with a purpose: Be on the Lookout for marine debris– if you find some, let staff remove.
Common critters: Angelfish, Surgeonfish, Damselfish, Grunts, Snappers,
Special guests: Sea slugs, Sweepers, Spotted Moray Eels, Peacock Flounder


(Max depth 60ft/18m)
Location: East
An uncommon dive site as its weather permitting. See the underwater pinnacle rising from a rocky bottom. Enjoy the small rocky swim through and schools of fish.
Adopt the Blue site - Dive with a purpose: Be on the lookout for marine debris– if you find some, let staff remove.
Common critters: Baby Yellowtail Damselfish, Black Durgeon, Parrotfish, Porkfish, Lionfish, Schools of Chub, French Grunts, and Bluestriped Grunts
Special guests: Southern Stingrays, Nurse Sharks, Crabs, Dolphins
(Max depth 30 ft/9.1 m)
Location: At the end of the Little Bay peninsular
The fort located on the peninsula between Great Bay and Little Bay was the first building built by the Dutch in the Caribbean (1631). Just 2 years later, the Spanish captured the fort and held it until 1648. In 1644, the Dutch attempted to retake the fort, led by the director of Curacao Peter Stuyvesant. A grim defeat and a lost leg from a cannonball met Stuyvesant, resulting in an amputation and a wooden leg. In 1648, the Treaty of Concordia returned the fort to the Dutch.
Awaiting below the surface, you’ll find some interesting underwater features like a helicopter, submarine, even Poseidon himself nestled in between cannons. Rumor has it, there was even a seahorse and a frogfish spotted here!
Little Bay is a great training site as surface conditions are always calm. It also makes for a great long, lazy dive for those who are interested in looking for the small critters.
Adopt the Blue site - Dive with a purpose: Be on the lookout for marine debris– if you find some, let staff remove.
Common critters: Schools of Ballyhoo needlefish, Sergeant Majors, Bluestriped Grunts, Yellowfin Mojarras, Smooth Trunkfish, Trumpet Fish, Arrow Crabs, Pederson Shrimp, Banded Coral Shrimp.
Special guests: Octopus, Squid, teenage sea turtles, Hamlets

The French side of the island also offers some great diving opportunities, many of which are located in the protected Reserve Naturelle de St. Martin. As these dive sites are all a fair distance to windward of our location in Simpson Bay we do not go there (we prefer longer dives to longer boat rides). They are best dived with dive shops located on the North side of the island.

The best thing about earning your PADI Scuba Certification in Sint Maarten with The Scuba Shop SXM is that you will do this on our beautiful, warm water dive sites. Already a certified scuba diver? You are able to earn you PADI Advanced Open Water Certification and some PADI Specialty Certifications on many of our regular dive trips. Some of our favourites are Peak Performance Buoyancy, Dive Against Debris, Fish Identification, Underwater Digital Imaging (camera provided) and Boat Diver. We also offer a dedicated schedule for other PADI Specialty Courses such as Rescue Diver, Search & Recovery Diver, Self-reliant Diver, Drift Diver and SMB Diver. Earn you PADI Master Scuba Diver certification with us or go Pro and become a PADI Divemaster.
Mermaid diving is a world with one foot in reality and the other in fantasy. The PADI Mermaid Program is designed to be a rewarding and fun experience, suited to anyone with an interest in mermaid diving and basic swimming abilities.
Whether you are starting your journey or seeking advanced expertise, The Scuba Shop SXM provides expert instruction, personal guidance, and a supportive environment to help divers grow their confidence and skills.




At The Scuba Shop, our mission is to make diving in St. Maarten accessible, enjoyable, and unforgettable for every visitor. From diving with us at The Scuba Shop SXM aboard the Mermaid's Tale, or helping you select a different dive shop, we ensure your dive experience is tailored to your needs. The island’s waters are rich with sharks, turtles, rays, and vibrant reefs, offering something new on every dive. Whether you want to try scuba for the first time, complete a PADI course, or add a conservation element to your dives, we provide the resources, instruction, and guidance to make it happen. With options ranging from quick single-tank dives to advanced specialty training, every diver can find the perfect fit.